Ref # 2220690

Vacant General Residential Development Erf for Sale at Elisenheim Lifestyle Estate

Property Type
Vacant Land Residential
Land Size
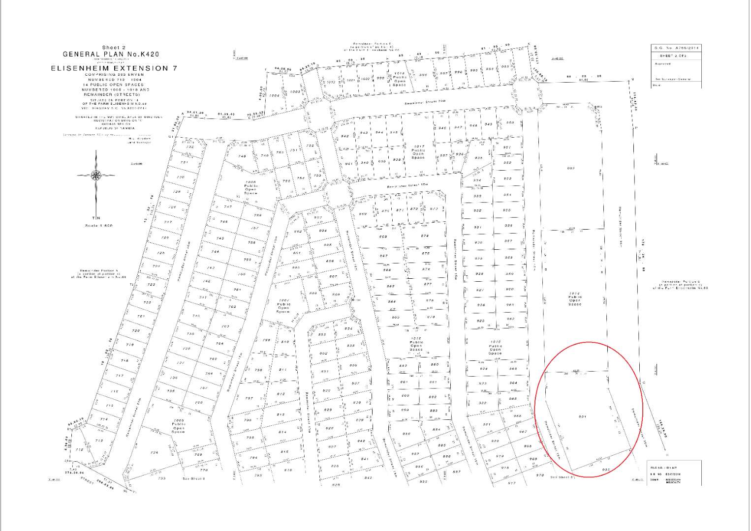
5,259m²
Levy
±N$651

Introducing a prime real estate opportunity at Elisenheim Lifestyle Estate! This exceptional property boasts a generous size of 5259m2, offering ample space for your dream residential development project. Situated within the prestigious estate, this vacant General Residential Erf is ideal for those seeking a tranquil and upscale living environment.

Zoned at 1:250, this parcel of land presents a rare chance to create a bespoke residential masterpiece tailored to your unique vision. Whether you envision a luxurious single-family home, a stylish multi-unit complex, or a blend of residential offerings, the possibilities are endless on this expansive canvas.

Take advantage of this exclusive opportunity to secure your foothold in one of the most sought-after locations in Elisenheim Lifestyle Estate. Embrace the potential to design and build your ideal living space in a community renowned for its amenities, security, and natural surroundings. Don't miss out on the chance to turn your property aspirations into reality – inquire now to make this exceptional General Residential Erf yours!

Werner Verwey photo
Werner Verwey
+264 812 512 450
We are happy and excited to welcome Werner in our midst. As a previous service...
Gail Waldron photo
Gail Waldron
+264 811 241 933
Gail has been with Henric Estates since 1996 and has accumulated a vast group...
Make an enquiry
Interested in this property? Please fill in your details below, and we will contact you as soon as possible.
By clicking on "submit" you agree to our privacy policy.